住所変更の概要
大阪府堺市堺区において、住居表示により町名が新設され住所変更がおこなわれました。
実施日は2021年3月29日です。
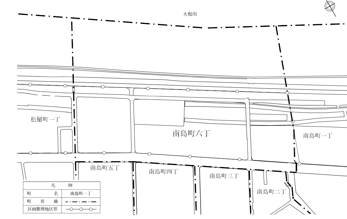
新設される町名は、「南島町6丁」(ミナミジマチョウ6チョウ)です。
従来の住所は、「南島町1丁」「南島町2丁」「南島町3丁」「南島町4丁」「南島町5丁」 他 です。
令和3年3月29日(月曜)、堺区の南島町1丁~5丁の各一部をもって南島町6丁を新設し、同丁に住居表示を実施しました。
南島町6丁の住所の表し方
南島町6丁○番○号
※南島町6丁でご新築される場合は、住所を決定する手続きが必要になりますので、堺区役所市民課までお届けをお願いします。南島町1丁~5丁の住所の表し方(変更はありません)
南島町○丁○○番地○
大阪府堺市堺区の住所変更詳細情報
都道府県名
大阪府
市区郡町村名
堺市堺区
JIS全国地方公共団体コード
27141
新設された住所
南島町6丁
新住所の「住所キーコード」
- 南島町6丁 271410143006
新住所の郵便番号
- 南島町 5900904
旧住所
南島町1丁 南島町2丁 南島町3丁 南島町4丁 南島町5丁 他
旧住所の「住所キーコード」
- 南島町1丁 271410143001
- 南島町2丁 271410143002
- 南島町3丁 271410143003
- 南島町4丁 271410143004
- 南島町5丁 271410143005
住所変更の事由
住居表示
堺市堺区ホームページ
住所キーコードとは
住所基盤データベースで使用されるユニークコード。
全国地方公共団体コード(JIS X 0401 および X 0402の各コード)+独自7桁で構成されています。
全国の住所・地名情報すべてに住所キーコードを付与し体系的にデータベース化しています。
住所キーコードを利用することで、特定の住所の改廃や変更を時系列的に追うことができ、また、検索や関連付けも容易におこなうことができます。
詳細につきましては、住所基盤データベースのファイルレイアウトのページでご確認ください

ファイルレイアウト
ここでは、住所基盤データベースのファイルレイアウト及びデータの仕様を掲載しています。データレイアウト項目名称タイプ(桁)サンプル住所キーコードX(12)041010003001新住所キーコードX(12)000000000000順序コードX(...



